REQUEST A TOUR If you would like to see this home without being there in person, select the "Virtual Tour" option and your agent will contact you to discuss available opportunities.
In-PersonVirtual Tour

$699,000
Est. payment /mo
21.33 Acres Lot
UPDATED:
Key Details
Property Type Vacant Land
Listing Status Active
Purchase Type For Sale
MLS Listing ID 50314976
Annual Tax Amount $311
Lot Size 21.330 Acres
Acres 21.33
Property Description
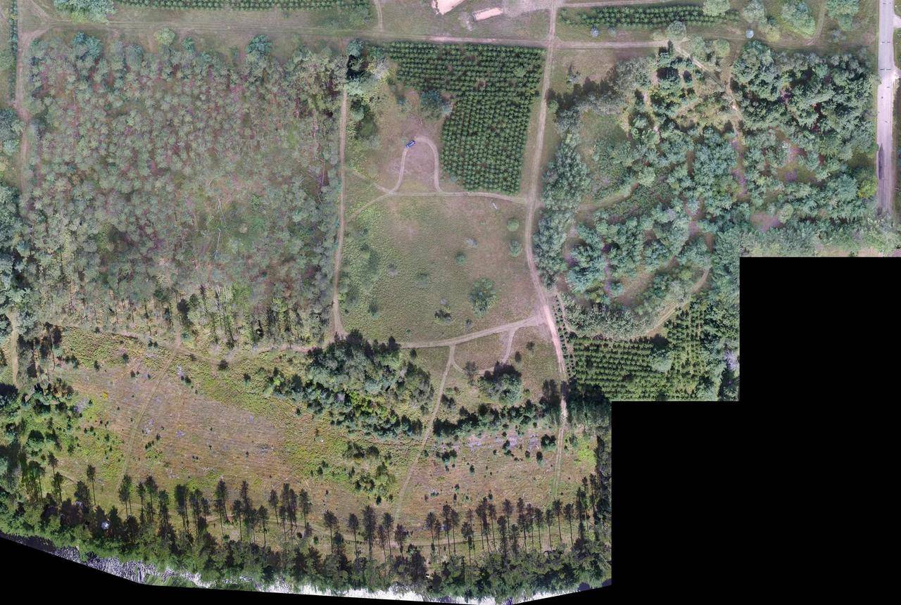
Discover a rare find of 21.33 acres on the Menominee River! Multiple building sites with no wetlands to restrict development. Trails cut throughout the property, making it easy to explore or plan development. Several clearings along the 940? shoreline, giving you a direct vision of the lifestyle this parcel can provide. Slight ridge offers potential for a walkout basement overlooking the river. Includes 270? paved road frontage with electricity available. No easements or restrictive covenants. Borders WE Energy land for added privacy. Buyers may walk the property (please, no motorized vehicles, stay on trails; trail map in photo gallery). Great location?within a few miles of 2 public boat landings, close to 2 golf courses, and direct ATV/snowmobile trail access. Endless possibilities!
Location
State WI
County Marinette
Area Marinette County
Zoning Residential
Exterior
Utilities Available Electricity, Telephone
Building
Lot Description Dense Wooded
Sewer No Waste Disposal System, No Water Presently
New Construction N
Schools
School District Beecher-Dunbar-Pembine
Read Less Info
Copyright 2025 WIREX - All Rights Reserved
Listed by Coldwell Banker Real Estate Group
Get More Information

United Country Midwest Lifestyle Properties
Business Office Manager
Business Office Manager



